Australia

Prices from $140,000

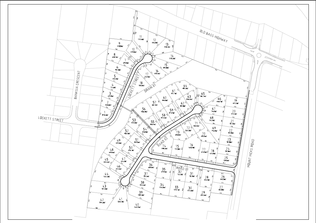
2-28 Mount Hicks Road, Wynyard, Tas 7325

# Location

Description

APPROVED SUBDIVISION - Seabreeze Estate Located in the heart of the popular beachside town of Wynyard. Seabreeze Estate provides the ideal opportunity to secure your new home site, these flat and level blocks range from 499.5m2 - 1594.1m2 and will be connected to town water and sewerage. With a variety of blocks sizes, this sub-division is perfect for a family, downsizing your property, or your first home. This approved sub-division is only a couple of minutes’ walk to the beach, new playground, foreshore market and a short distance to local cafes, shops, walking tracks and the advantage of the Burnie Airport located in Wynyard with daily flights to Melbourne.

Seabreeze Estate offers the very best in peaceful, and relaxed living, a great opportunity to build your dream home, secure a block, sign a Contract subject to Issue of Title. For more details, contact the Listing Agent Dionne Hunt today!

Disclaimer: VIEW Real Estate Wynyard has obtained all information in this document from sources we believe to be reliable however, we cannot guarantee its accuracy. Prospective Purchaser’s are advised to carry out their own investigations. All measurements are approximate.

View More #

Location

  • Contact the agency

    To request an inspection

  • # Call # Email

Dionne Hunt

Agent Name

# Report Listing

Looking for a property?

  • Top listings
  • Investment
  • Development
  • Personal home
  • Price reports
  • Suburb reports

Do you own a property?

  • Place a free listing
  • Services for private advertisers
  • Guide to selling your home
  • Insurance
  • Improve the photos of your listing
  • Value your property for free

Are you a real estate proffesional?

  • Publish your agencies properties
  • Already a client? Log into your account
  • Advertising on Australian Real Estate
  • Australian Real Estate data technology for property insights
  • Real Estate courses